VIJVERWEGEL MELLE
REF: M-0060
Vijverwegel 64/F, 9090 Melle
€ 1.395 p/m
- 216 m²
- 216 m²
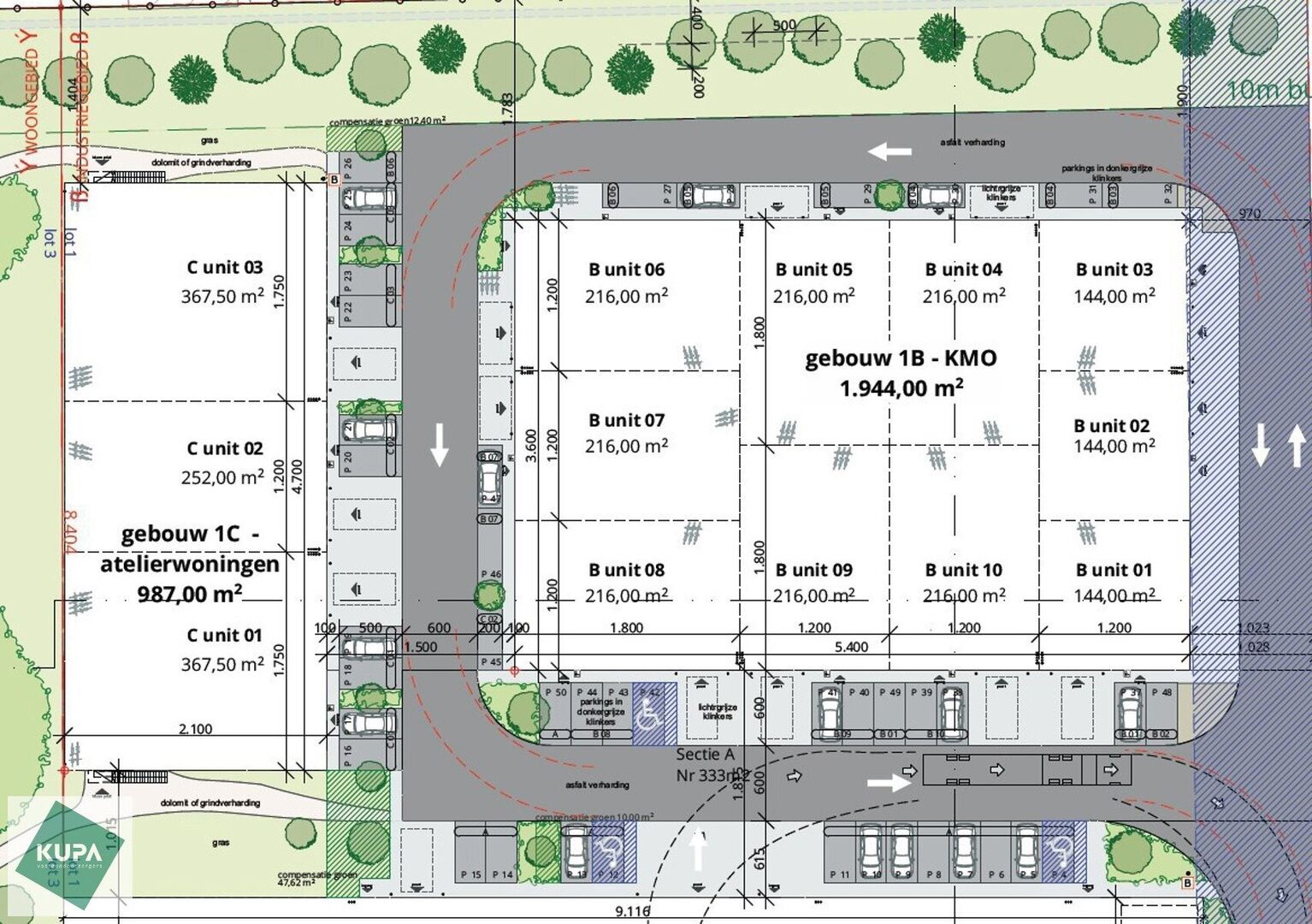
In de Vijverwegel te Melle bieden we een magazijn van 216 m² te huur aan, inclusief twee private parkeerplaatsen. Deze locatie is bijzonder strategisch gelegen aan de zuidrand van Gent, met een uitstekende ontsluiting richting de belangrijkste verkeersaders. Zo bevindt het pand zich op slechts vijf minuten van de op- en afrit van de R4 (“Melle”), met vlotte verbindingen naar de E40, E17 en via de R4 naar het Gentse havengebied. Ook het centrum van Melle (Vogelhoek) ligt op amper vijf minuten.
De KMO-unit is kwalitatief afgewerkt en opgebouwd uit een staalstructuur met betonnen plint en geïsoleerde sandwichpanelen. Dankzij de grote raampartijen geniet het magazijn van veel natuurlijk daglicht, wat bovendien de mogelijkheid biedt om een kantoorruimte te integreren. Verder is het magazijn uitgerust met een automatische sectionale poort, een steeldeckdak met lichtstraat en rookluik + brandhaspel, en een duurzame polybetonvloer met een draagkracht van 2,5 ton/m². De vrije hoogte bedraagt meer dan 6 meter.
Er is verlichting voorzien aan de buitenzijde ter hoogte van de poort, zodat de toegangszone als de parkeerplaatsen goed verlicht zijn. Binnen in de loods voorziet de verhuurder verlichting en een aantal stopcontacten. Elektriciteit en water zijn individueel aangesloten.
Beschikbaar 1 november 2025
Prijs is excl. btw, OV, gemeenschappelijke en privatieve kosten.
Meer info, aarzel niet ons te contacteren:
GSM: 0479 49 55 88
Mail: info@kupa.immo
Détails de la propriété
Finances
- Prix
- € 1.395 p/m
- Prix parm²
- € 6
- Prix par m² par an
- € 78
- Disponibilité
- A la livraison
01 novembre 2025 - Coûts communs
- € 75 p/m
- 3
Localisation géographique
- Localisation géographique
- Central
Confort
- Accessible aux fauteuils roulants
- non
- Ascenseur
- non
- Branchement d'égouts
- non
- Connexion d'eau
- oui
Bâtiment
- Surface habitable
- 216,00 m²
- Année de construction
- 2025
- Surface constructible bâtiment principal
- 216,00 m²
- Largeur de façade
- 12,00 m
- Type de toit
- Toit plat
- Orientation de la façade
- Sud-est
- Revêtement de sol
- Béton poli
- Volets
- oui
Terrain
- Surface au sol
- 216,00 m²
- Jardin
- non
Information sur l'urbanisme
- Permis de construire
- oui
Énergie
- Code unique PEB
- /
- Type de fenêtres
- Aluminium
- Double vitrage
- oui
- Inspection de l'électricité
- Oui, Conforme
- Chauffage
- Pas installé
Techniques
- électricité
- oui
- Câblage téléphonique
- oui
- Fosse septique
- oui
Garages / parking
- Garages / parking
- non
- Parking extérieur
- 2